Skip to content
Contact Plan een bezichtiging

Ringlaan ong.

3794 MT, De Glind

Verkocht bij inschrijving
  • 138.527 m2
  • Verkocht bij inschrijving

Omschrijving

Namens onze opdrachtgever mogen wij u aanbieden EEN DRIETAL KAVELS LANDBOUWGROND. De grond wordt aangeboden middels een (besloten) vrijwillige verkoop bij inschrijving. De voorwaarden en condities die voor deze inschrijving gelden leest u terug in de brochure.

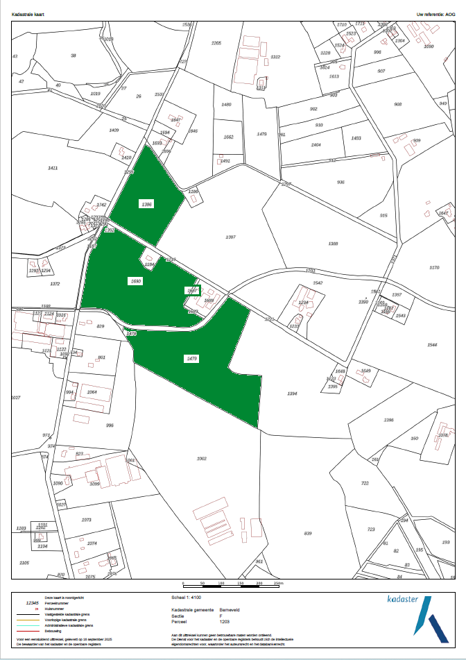
Kavel I (blauw): nr. 1386, groot ca. 28.310 m².

Kavel II (rood): nr. 1687, 1690, groot ca. 53.447 m².

Kavel III (oranje): nr. 1479, groot ca. 56.770 m²

Kavel IV (geheel kavel I, II en III): totaal groot ca. 138.527 m²

Het biedingsformulier, welke te verkrijgen is via ons kantoor, is in te leveren t/m woensdag 15 oktober 2025 tot 17:00 uur bij Midden Nederland Makelaars Barneveld, Kampstraat 32 te Barneveld of per e-mail: aog@mnm.nl (met ontvangstbevestiging versturen).

Kadastrale informatie:
Kadastraal bekend bij de gemeente Barneveld, sectie F, nummers 1386, 1479, 1687 en 1690, totaal groot ca. 138.527 m².

Bestemming:
Voor alle percelen geldt de bestemming \"agrarisch zonder bebouwingsmogelijkheden\".

Bijzonderheden:
- De percelen in De Glind zijn (gedeeltelijk) belast met het opstalrecht nutsvoorzieningen, dit voor de gemeente Barneveld c.q. Vitens N.V.
- Alle kavels zijn individueel ontsloten middels een eigen inrit.

Kenmerken

Overdracht

  • StatusVerkocht bij inschrijving
  • AanvaardingIn overleg
  • VraagprijsVerkocht bij inschrijving

Bouwvorm

  • BouwvormNiet van toepassing

Indeling

  • Perceeloppervlakte138.527 m2

Energie

  • CombiketelJa

Overig

  • Permanente bewoningJa

Kadastrale gegevens

  • GemeenteBarneveld
  • SectieF
  • Perceelnummer1386
  • Oppervlakte28.310 m2
  • EigendomssituatieVolle eigendom

Kadastrale gegevens

  • GemeenteBarneveld
  • SectieF
  • Perceelnummer1479
  • Oppervlakte56.770 m2
  • EigendomssituatieVolle eigendom

Kadastrale gegevens

  • GemeenteBarneveld
  • SectieF
  • Perceelnummer1687
  • Oppervlakte395 m2
  • EigendomssituatieVolle eigendom

Kadastrale gegevens

  • GemeenteBarneveld
  • SectieF
  • Perceelnummer1690
  • Oppervlakte53.052 m2
  • EigendomssituatieVolle eigendom