Skip to content
Contact Plan een bezichtiging

Harskamperweg ong.

3774 JP, Kootwijkerbroek

Verkocht
  • 8.240 m2
  • Verkocht

Omschrijving

Namens onze opdrachtgever mogen wij u aanbieden een PERCEEL CULTUURGROND.

De grond wordt aangeboden middels een (besloten) vrijwillige verkoop bij inschrijving. De voorwaarden en condities die voor deze inschrijving gelden leest u terug in deze brochure.

Het biedingsformulier, welke te verkrijgen is via ons kantoor, is in te leveren t/m dinsdag 22 juli 2025 tot 17.00 uur bij Midden Nederland Makelaars Barneveld, Kampstraat 32 te Barneveld of per e-mail: aog@mnm.nl (met ontvangstbevestiging versturen).

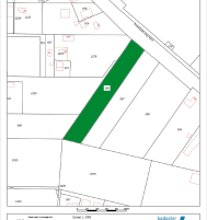
Kadastrale informatie:
Kadastraal bekend bij de gemeente Garderen, sectie L, nummer 586, groot ca. 8.240 m²

Bestemming:
De geldende bestemming voor dit perceel is agrarisch zonder bebouwingsmogelijkheden.

Bijzonderheden:
- Slootschouwing is niet van toepassing.
- De jacht is niet verpacht.
- Er is een ontsluiting op de Harskamperweg.
- Gewenste oplevering en overdracht is 1 oktober 2025.

Overige informatie is via ons kantoor op te vragen.

Kenmerken

Overdracht

  • StatusVerkocht
  • AanvaardingIn overleg
  • VraagprijsVerkoop bij inschrijving

Bouwvorm

  • BouwvormNiet van toepassing

Indeling

  • Perceeloppervlakte8.240 m2

Energie

  • CombiketelJa

Overig

  • Permanente bewoningJa

Kadastrale gegevens

  • GemeenteGarderen
  • SectieL
  • Perceelnummer586
  • Oppervlakte8.240 m2
  • EigendomssituatieVolle eigendom

Vergelijkbaar aanbod