Skip to content
Contact Plan een bezichtiging

Luntersekade ong.

6744 PG, Ederveen

Verkoop bij inschrijving
  • 28.560 m2
  • Verkocht bij inschrijving

Omschrijving

Namens onze opdrachtgever mogen wij u aanbieden een PERCEEL CULTUURGROND (momenteel bouwland). De grond wordt aangeboden middels een (besloten) vrijwillige verkoop bij inschrijving. De voorwaarden en condities die voor deze inschrijving gelden leest u terug in de brochure.

Het biedingsformulier, welke te verkrijgen is via ons kantoor, is in te leveren t/m vrijdag 2 mei 2025 tot 17.00 uur bij Midden Nederland Makelaars Barneveld, Kampstraat 32 te Barneveld of per e-mail: aog@mnm.nl (met ontvangstbevestiging versturen).

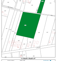
Kadastrale informatie:
Het perceel is kadastraal bekend gemeente Lunteren, sectie C, nummers 3800 en 3555, samen groot 28.560 m².

Bestemmingsplan:
De bestemming is agrarisch zonder bebouwingsmogelijkheden.

Bijzonderheden:
Er is sprake van een erfdienstbaarheid van weg om via het perceel gemeente Lunteren, sectie C, nummer 3802 te komen en te gaan van de openbare weg (Luntersekade) naar het te koop aangeboden perceel en omgekeerd.

Overige informatie is via ons kantoor op te vragen.

Kenmerken

Overdracht

  • StatusVerkocht bij inschrijving
  • AanvaardingIn overleg
  • VraagprijsVerkoop bij inschrijving

Bouwvorm

  • BouwvormNiet van toepassing

Indeling

  • Perceeloppervlakte28.560 m2

Energie

  • CombiketelJa

Overig

  • Permanente bewoningJa

Kadastrale gegevens

  • GemeenteLunteren
  • SectieC
  • Perceelnummer3800
  • Oppervlakte22.770 m2
  • EigendomssituatieVolle eigendom

Kadastrale gegevens

  • GemeenteLunteren
  • SectieC
  • Perceelnummer3555
  • Oppervlakte5.790 m2
  • EigendomssituatieVolle eigendom

Vergelijkbaar aanbod