Skip to content
Contact Plan een bezichtiging

Veldhoek ong.

6741MP, Lunteren

Verkoop bij inschrijving
  • 3.852 m2
  • Verkocht bij inschrijving

Omschrijving

Namens onze opdrachtgever mogen wij u aanbieden een PERCEEL CULTUURGROND. De grond wordt aangeboden middels een (besloten) vrijwillige verkoop bij inschrijving. De voorwaarden en condities die voor deze inschrijving gelden leest u terug in onze brochure.

Kadastrale informatie:
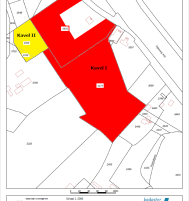
Het perceel cultuurgrond wordt u aangeboden met diverse verkavelingsmogelijkheden:
- Kavel I (rood): kadastraal bekend bij de gemeente Lunteren, sectie F, nummers 2831 (gedeeltelijk) en 3177, samen groot ca. 34.020 m².
- Kavel II (geel): kadastraal bekend bij de gemeente Lunteren, sectie F, nummers 3703 en 3704, samen groot 4.304 m².
- Kavel III (geel en rood): het geheel van kavel I en kavel II, samen groot ca. 38.324 m².

Bestemmingsplan:
De bestemming van het perceel is agrarisch zonder bebouwingsmogelijkheden.

Overige informatie:
- Het perceel is niet onderhevig aan slootschouw en er zijn geen verpachte jachtrechten.
- Onder- en overmaat zal na inmeting door het Kadaster worden verrekend met de door u geboden prijs per m². De kadastrale kosten m.b.t. de inmeting zijn voor rekening van verkoper.
- Bij een afzonderlijke verkoop van kavel I en kavel II zal er een erfdienstbaarheid ten laste van kavel I worden gevestigd om kavel II te ontsluiten op de openbare weg.
- De gewenste overdrachtsdatum is zo spoedig mogelijk na het gunnen van de grond en het opstellen van de koopovereenkomst.
- Een gedeelte van de grond is destijds verkregen met vrijstelling overdrachtsbelasting (artikel 15.1.q. BW). Dit zal als kettingbeding voor koper worden opgenomen in de koopovereenkomst en akte van levering.

Het biedingsformulier, welke te verkrijgen is via ons kantoor, is in te leveren t/m maandag 28 april 2025 tot 17.00 uur bij Midden Nederland Makelaars Barneveld, Kampstraat 32 te Barneveld of per e-mail: aog@mnm.nl (met ontvangstbevestiging versturen).

Overige informatie is via ons kantoor op te vragen.

Kenmerken

Overdracht

  • StatusVerkocht bij inschrijving
  • AanvaardingIn overleg
  • VraagprijsVerkoop bij inschrijving

Bouwvorm

  • BouwvormNiet van toepassing

Indeling

  • Perceeloppervlakte3.852 m2

Energie

  • CombiketelJa

Overig

  • Permanente bewoningJa

Kadastrale gegevens

  • GemeenteLunteren
  • SectieF
  • Perceelnummer3703
  • Oppervlakte3.852 m2
  • EigendomssituatieVolle eigendom

Kadastrale gegevens

  • GemeenteLunteren
  • SectieF
  • Perceelnummer3704
  • EigendomssituatieVolle eigendom

Vergelijkbaar aanbod